Hendricksville


This article written by Henry and Cecilia Wahl provided by Bernard and Nelda (Hudson) Porter


A copy of the flyer for an auction sale on Friday, February 22, 1901, is of particular interest to descendants of the Hendricks family of Hendricksville, Indiana, a small, Greene County village about 15 miles southwest of Bloomington, near the Monroe County line. It announced that Charles A. Hendrix would offer for sale at public auction “one good milch cow, one two-horse wagon, one hack, one single and one double shovel plow, lots of corn, household and kitchen furniture, and other articles too numerous to mention." A special feature of the sale bill was titled “STONEWARE,” and the announcement read, "I will sell at private sale from now until day of sale at 5 cents per gallon for the best, and some good ware for less. If you need jars for your sugar camp or any other use, it will pay you to get them now. The opportunity may never occur again to get good ware as cheap as you can get it now. BRING PLENTY OF STRAW TO PACK WITH."

The Hendrix family was getting ready to leave Greene County where they are their forebears had been farmer/potters since about 1825. Now, at the turn of the century the development of glass containers, railroads, and improved highways had probably led to too much competition for a family of village potters in rural Indiana, and the family moved on to settle permanently in Oregon after brief residences in Oklahoma and northern California. That marked the end of pottery making in Hendricksville, Indiana.

Charles Abram Hendrix (sometimes spelled Hendricks) was my great uncle, a man I never knew; but when I was a child my father, Henry Ethan Wahl, Sr., had a small collection of jars, jugs and canning jars made by his Uncle Charles. I had no interest in these items, much to my present regret. In later years an interest did develop but by then there was no one alive who could give first-hand information. After my father's death in 1961 my mother passed most of the colleciton of stoneware to her brother-in-law, Layton Wall (who used a variant spelling of the family name) at Spencer, Indiana, and our family retained only a few samples of the, jars.

By the early 1980s my wife, Cecilia, and I were deeply involved in pottery research. Our interest has grown steadily and we believe there are many good stories in Hendricksville and that an effort should be made to build a collection of stoneware and stories from that setting. Our first steps were to trace the Hendricks family from the Port of Baltimore, where they had arrived from Germany, through Kentucky to Indiana. Armed with the few pieces of stoneware our family owned we began to attend country sales in western Monroe County, eastern Greene County, and in adjoining Owen County, where pieces occasionally turned up. We located the site of the Hendricks- ville pottery on the property of Mr. Wendell Hudson and, among other information, learned that each spring when Mr. Hudson plowed his garden a number of pottery shards were turned up. With a goodly variety of these shards as a guideline we have been able to identify pieces of Hendricksville pottery with considerable accuracy.

A number of persons have been most helpful in providing genealogical, historical, and geographical information about the Hendricks family and its pottery-making skills. These consultants include:

References to information from these sources will be made throughout this essay.

Tracing family names can be difficult, for variants in spelling occur in every family record. In Monroe and Greene County, Indiana, the name we are dealing with may be found listed as Hendricks, Hendrix, Hendrick, and, in one instance, Hendrich. Dorothy Hamm reports an instance of the name Henrich, and a German friend who immigrated to this area is of the opinion there may even have been an earlier spelling of the name as Heinrich.

We believe the Hendricks were in the stoneware business many years prior to coming to Indiana. We know they were of German ancestry. Mr. Oscar Curtis has stated that the Hendricks family was producing stoneware in Maryland as early as 1765. Mr. Donald Matson believes the Hendricks lived in Nicholas County, Kentucky, after moving from Maryland. He is also of the opinion they came originally from the Rhineland area of Germany where their name was probably Henrich or Heinrich.

Peter Hendricks of Maryland settled in Kentucky, where he died in 1798. Peter's son, Fredrick, born in 1779 in Maryland, married Elizabeth Ham and they moved to Greene County, Indiana, around 1825. We have one piece of stoneware purchased by Mrs. George Dunn near Lexington, Kentucky, that is readily identifiable as Hendricks pottery, and since the Hendricks have been located in Nicholas County or Bourbon County, Kentucky, we assume stoneware was produced there by the family before they emigrated to Indiana.

Fredrick and Elizabeth settled in a valley near Richland Creek in Greene County, utilizing the family skills of blacksmithing, grist milling, and making stoneware. These were pioneer skills that assisted the development of a thriving community. In 1831 a post- office named Hendricksville was established.

Frederick and Elizabeth Hendricks’ son, David, was born in Kentucky in 1816 and married Jeriah Taylor on June 12, 1842, in Greene County. They had a son named Charles Abram, whom we know as the potter. No one is sure when the pottery business developed at Hendricksville. Professor Roberts has stated that the 1850 census indicates five men were employed in the pottery shop at Hendricksville. Based on Stanley Hudson's observations about the family skills, we assume they could have produced stoneware nearly a quarter of a century earlier than 1850. Professor Roberts has stated that in southern Indiana salt for the glazing process was not used until about 1850- 1860. Since some of the known Hendricksville pieces are not salt glazed we can assume they were manufactured prior to 1850.

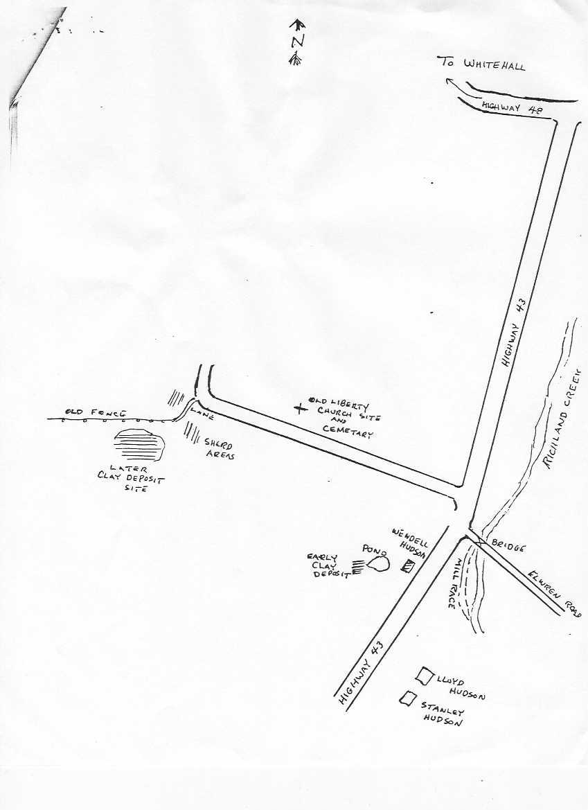
Mr. Wendell Hudson, now deceased, resided in the house that belonged to Charles Hendrix, and his knowledge was most helpful to us. Wendell described the fact that some time after the Hendricksnear the workshop. This was done by building a dam at the present-day bridge site. Today that old channel is overgrown, about five feet deep at the center, and roughly 35 feet wide. Erosion over the years no doubt has caused some changes. The channel returned to the main stream bed through a narrow notch, and here was placed a water wheel that produced the power to turn a miller's wheel and also the potter's wheel. (SEE ATTACHED MAP)

Mr. Hudson found the site of the kiln outside the kitchen door of his house, under a large maple tree. Charles Hendrix’ potters wheel was one of Wendell Hudson's prized possessions. It is a handcrafted metal instrument topped by a round table over a hollow shaft. The wheel probably sat on a rod which allowed the water power to turn it by a sort of cam effect. After his death, Wendell Hudson's heirs donated the potters wheel to the Mathers Museum.

To the west of the Hudson/Hendrix house is a cattle pond and at the southwest corner of this pond is a small ravine where the first clay was dug for the pottery. In time the deposit was exhausted and a new source was found on Liberty Road, approximately two miles west of the village. (See map) In the latter stages of stoneware production the clay was dug and hauled by John R. Hamm, (John Hamm was born c. 1855 and married in 1881, according to information supplied to Wendell Hudson by Mr. Lonnie Hamm, who died in 1981. Lonnie Hamm was probably one of the last living persons who could have been a source of valuable firsthand information. John Hamm not only dug the clay but delivered the finished products to buyers in communities within a radius of 20 miles of Hendricksville, trips that could take three or four days, according to stories that came down through mt family.

Other items made by the Hendricks potters were bricks (Stanley Hudson has a sample in his museum.), field tile approximately four inches in diameter, and a variety of glazed tile which, joined together, could bring spring water into Kitchens. (Warren Roberts has a specimen of this type of tile.)

From a number of sources we have bits of information that clarify the family's history of pottery-making. Oscar Curtis believes that the Hendricks who lived in Maryland around 1765, perhaps earlier, were potters at that time. It follows that the trade was probably the same in Kentucky as it was later at Hendricksville.

A memorandum from Warren Roberts: "Greene County, Beech Creek Township, Sheet No.8, House No-155 - Charles Hendrix. "Potter Shop. Charles Hendrix was born December, 1847, in Indiana, married 36 years. Father born in Kentucky, mother born in Kentucky. All the Hendricks must have been farmers first and potters second." (Note: It seems likely that pottery making might have been a winter-time occupation.)

In the 1850 census for Buck Creek Township, Greene County, is the entry: “John Taylor, age 53, father-in-law of David Hendricks, farmer and potter.

In 1842 David Hendricks, the father of Charles A., married Juriah Taylor. The Taylors were apprently also potters. Francis M. Taylor lived in Bloomington and married Louisa Hamm. He later moved to Bedford, Indiana. His Civil War records list him as a potter. William Taylor, whose first wife was Elizabeth Hendricks, lived in Bloomington on West Fifth Street. He was listed in the 1850, 1860, and 1870 censuses as a potter. An intriguing question: Did the Taylors learn the trade from the Hendricks or were these unions of potters’ families?

An entry in the 1880 census represents a problem in getting facts. The entry says that "David Hendrix, 63, nephew of Charles Abram, aged 69, lived with Mr. Abram. Hendrix is widowed. Born in Kentucky. Father and mother born in Virginia. He works in the “tile shop." All other references indicate that the father, at least, was born in Maryland, not Virginia. The same census lists Thomas J. Abram, Wm. Abram, Charles Hendrix, and Wm. H. Ham (not Hamm) as working in the "tile factory." Charles Hendrix is the same person as Charles Hendricks, and he used the former spelling.

Dorothy Hamm reports that she has found in Pike County, Indiana, records indications that Hamms, Hendricks and Taylors were listed there as potters. Unanswered question: If the Hendricks came to Greene County via Pike County and Evansville, a major river port, perhaps they worked for such potteries as the well-known Uhl Pottery, or perhaps they produced pottery themselves in that corner of the state. Uhl Pottery records might reveal answers to these questions.

Several conversations with Stanley Hudson have brought forth interesting and related information. In the museum which Stanley and his brother Lloyd have built one building houses artifacts, tools, and a miscellany of machinery, plus a 1922 Ford automobile in excellent condition. Here is the grist mill last operated by Luther Hendricks, a first cousin of H. Ethan Wahl. In another building is a Baker steam engine in perfect condition. The brothers also operate an old sawmill powered by a large steam engine. A long, low shed houses a number of ancient tractors.

Stanley Hudson says that some of the Hendricks were close to genius at the blacksmith forge, able to produce perfectly balanced shafts and pulleys by hand. The Hudsons have a number of metal items which they think were made by the Hendricks - all sorts of hand tools, smithing tools, clutches, etc. Stanley thinks the grist mill was probably the first installation, followed by blacksmithing and then the pottery. These three skills would have brought all sorts of people to Hendricksville for services and would have helped the community thrive.

A telephone conversation with Stanley Hudson on November 8, 1985, elicited this information: About 1920-25 Luther Hendricks bought a Ford tractor from Graham Motor Sales in Bloomington. He developed and built a plow without wheels that attached to the tractor and could be raised and lowered from the tractor seat. William Brown, the owner of Graham Motors, heard about it and came out to see it. Shortly thereafter some men, doubtless engineers, came with Mr. Brown to investigate Luther's plow. And shortly after that Ford and Ferguson (7?) tractors were using this sort of plow hitch. Stanley said it was after World War II that International Harvester came out with their version. Luther also made a set of box wrenches to use on his tractor. Stanley says this may have been the first box wrenches ever designed. Whereabouts of the wrenches is unknown.

Will Hendricks, another cousin of Ethan Wahl, also developed a garden plow which he sold for $8.00. It was a high-quality piece of work. The Hudson brothers have one in their museum that needs new handles, and I have purchased four of the plows at country sales One of these is in the Monroe County Historical Museum, two at the Mathers Museum, and one in my possession. (Will Hendricks was born in 1856, died in 1951, and was married to Etta J. Hamm.)

The question then becomes: How does one know the Hendricksville pottery, since there are no signed pieces? The wares were all hand- made and there are no signed pieces The wares were all hand-made and there are variations to a greater or lesser degree. By analyzing the pieces previously owned by the Wahl family and by a study of the shards certain characteristics become apparent. The identifying marks to look for are:

  1. Types of glazes
  2. Tool marks
  3. The way jug handles are made: their shape and placement on the jug
  4. Jars tend to be slightly concave in the lower half
  5. Rims may vary but remain very similar on canning and storage jars
  6. Numerals indicating jug capacity are painted on the side of this kind of container and are consistently the same style. Pieces with dark glazes have numerals incised and white-glazed pieces have numerals in blue.

The types of items produced were in great variety. We know of some items made for special occasions or gifts. Descendants of the Hendricks have two pitchers quite different in appearance. One is a small, handsomely turned pitcher with an attractive green glaze, the only known piece of this coloration. It is now owned by a member of the £ifth generation of Hendricks and was made by Charles Hendrix as a gift to his mother. One of the pieces which my mother passed to her brother-in-law, Layton Wall, had incised on the side, “Hurrah for Blaine." This would indicate it was produced in 1886. This is the earliest and only date identified on any of the stoneware. In the Hudson museum are two slick, brown jars in which Stanley has placed notes describing their acquisition. A lady in the Hudson family who died in 1906 had secured them from the Hendricks. In time the jars were given to the Hudson brothers. If they are indeed Hendricks products they represent a new type. In our search at auction sales in the area we have found:

  1. Jars that might be used for kraut, holding as much as 14 gallons. Some have brown glaze, some salt.
  2. Storage jars with a variety of lips, glazes, and sizes
  3. Canning jars ranging in size from one pint to two quarts
  4. Jugs in one and two-gallon sizes.
  5. Mixing bowls which have been identified by shards showing rim construction.

We believe we have found three different periods of time represented in the pottery making. Some pieces do not have glaze, others have a thin film. Most are white and grey, and we reason that they are of the most recent origin. Warren Roberts says: “Salt glaze was not available in the area until 1850-60." 1 have two jugs that have a black glaze. The assumption is that this glaze was made of wood ash and crushed sand. The black jugs would have Preceded the 1850-60 period, while the unglazed pieces would have been the earliest production.

Another glaze is a smooth, almost slick finish which some people call Albany Slip. It is not common. Some stoneware is brownish and mottled. Professor Roberts is of the opinion that this coloration was the result of kiln firing heated by wood. Particles of wood ash got into the kiln and settled on the hot clay. At least two kinds of clay were used, some light brown, some dark grey.

Salt glazes are of relatively recent origin, having developed in the Rhineland in the fifteenth century. One of the areas was Westerwald. Present centers for stoneware production are Cologne Siegbuugh, Frechen, Raeren, Hohr Grenzau, and Grenzhausen. If the Hendrides could be traced to one of these areas an exciting search will have been completed.

Excerpts from several issues of the TRI-STATE TRADER and its successor, ANTIQUE WEEK, substantiate our observations on Hendricks- ville pottery and helped us in our research.

TRI-STATE TRADER, October 1, 1984. Article titled "Stoneware-Pottery: Daily Essentials, An Indiana Exhibit." Excerpts: “Pottery items were an important part of life during the 1800s, and ceramic products such as stoneware jars were the equiva- lent of today's plastic or glass storage containers. Every home had several pieces of pottery for holding liquids and preserved foods."

According to Mel Davies, of Flat Rock, Indiana, the earliest documented Hoosier potters were located near the territorial capital of Vincennes around 1810 to 1814. "These early potters followed the trade only part-time, which is understandable considering they also had a wilderness to clear. When they did work at the potters’ wheel the products were redware plates, bowls, pitchers and jugs The types of items needed in frontier communities where outside goods were expensive because of high transportation costs.

“Redware pottery received its name from the red plastic clay used. This clay is usually near the surface and is similar to the clay used for making bricks. It has a low firing temperature of 1,800 degrees Fahrenheit which made it popular with the early potters.

"The early redware was left unglazed except for pieces made to hold liquid and then only the inside was glazed. The glaze was a mixture of lead oxide, clay, sand and water prepared in a small stone grinder. The liquid mixture was poured in and out of the vessel to coat the inside prior to firing.

“Regarding the lead glaze, Davies added, ‘It was used on redware in Indiana until 1860 even though the potters were aware of the danger." As a safety precaution, Davies recommends that old redware pieces not be used in any way with food and drink.

“Another form of pottery available to Indiana residents was stoneware which was first produced in the state in the mid 1830s.. Since its manufacture in the state coincided with transportation improvements like better roads plus canal and railroad building, stoneware items are not associated with table use. Stoneware was used for jugs, storage jars, churns, bowls and other utilitarian objects. Stoneware needs to fire at 2,200 to 2,300 degrees Fahrenheit in order to vitrify or become more solid. Also at that temperature it is possible to use slip clay as a glaze. Davies defined slip clay '... as a clay that has the ability to melt and form a glaze at a temperature lower than the stoneware firing point.' All stoneware pieces were finished on the inside with slip clay.

"'Firing a wood burning kiln was quite an art besides being a lot of hard work,’ said Davies. In addition to making clay products the potter had to see that the wood was properly cut and cured. The kiln was loaded only when the unfired products were bone dry. A small fire started the process, but fuel was added over a two-day or more period to bring the kiln to the proper temperature. The firing required constant supervision."

From ANTIQUE WEEK, July 14, 1986. Article by Henry J. Kaufman titled "Stoneware Flourished in 19th Century." Excerpts: "The distinctive surface texture was made by throwing salt into the hot kiln during the firing process. The salt vaporized almost instantaneously in the 2.200-degree heat, and the sodium vapor in effect combined with and covered the sides of every piece of stoneware in addition to every exposed area of the kiln. The vaporized sodium combined with high silica content of the stoneware clay to form a hard impermeable surface layer.

"It is not known where, when and by whom the first salt-glazed Stoneware was made, but by the 15th centuty potteries were in operation in the Rhineland. According to one authority the earliest dated piece is 1539.

"Used for centuries to store food, stoneware containers became obsolete with the development of vacuum canning, ice boxes and refrigerators. Crocks were saved for Pickling and making sauer- kraut. By the 1890s stoneware pottery was mechanicly mass produced and undecorated. Commercial production of salt-glazed stoneware had ceased by 1910."

ANTIQUE WEEK, February 9, 1987. Article by Don John titled: “Industrialization Helped Mold Indiana Stoneware." Excerpts: "During the 1840s and '50s, stoneware Produced in Indiana was mostly for local use. Not as many pieces were in demand as would be half a Century later. A potter was not under the pressure of Producing a vast amount of wares in a short time. Changes started coming in the 1860s and '70s when increasing populations required more stoneware both at home and in cities and towns down-river. The potters then Rad to produce more goods, and the need to £111 orders quickly led Fo a change in the shape of the ware being made. The ovoid form was dropped for pieces with straight sides because the latter could be made in less time."

Prices of stoneware of all sorts have risen substantially in the past decade. Some of the well known Bennington ware is bringing thousands of dollars and Uhl pottery consistently brings high prices. The Hendricksville items are not nearly in that range, but items which could have been bought in the $10-20 range a few years ago may now cost nearly $100.

This account of Hendricksville, Indiana, the Hendricks family, and the pottery items made by them is admittedly incomplete. A detail for future research is the time and place of origin of the family in Germany. Perhaps some reader will be motivated to bring additional material to the attention of the Monroe County Historical Museum, the Mathers Museum, or these writers. -- Henry and Cecilia Wahl

Return